Regler og Retningslinjer Læs her

Alexanders 300L

Forum for Akvarier 251 -> 500 Liter
Besvar
Brugeravatar
Alexcpdk
Rev haj
Rev haj
Reactions: 6
Indlæg: 1074
Tilmeldt: tors 1. nov 2007 19:43
18
Postnummer: 4700 Næstved
Saltvand siden?: 2007
Geografisk sted: Sydsjælland

Alexanders 300L

#1

Indlæg af Alexcpdk »

Så belv det tid til at oprette en tråd om min nye balje, som blev op startet i aug. 2009, til fordel fra mit gamle RSM 130L.


Akvariet er på 300L 120x50x50cm

bordet har jeg lavet ud af 50x30x1,5mm stål rør og måler 170x70x50 og er beklædt med 16mm spån-plade.
Lyskassen er lavet af 16mm spån-plade.
spånpladerne er malet med alm. vandbaseret maling, og det holder fint :)

Teknik:

koralia 3 steam
Tunze 2500L/t steam
1500L/t retur pumpe
Haqos ps-600 Skummer fra websteen.
2x 39w T5 blå rør
1x 150W HQI
Vedhæftede filer
bord1.JPG
bord2.JPG
bord3.JPG
bord3.JPG (27.26 KiB) Vist 1979 gange
Jeg har monterret noget meget fint fiskegarn, så murænen ikke stikker af.
Jeg har monterret noget meget fint fiskegarn, så murænen ikke stikker af.
bord4samlet.JPG
påfyldning af vand.JPG
Senest rettet af Alexcpdk fre 5. mar 2010 00:50, rettet i alt 7 gange.
Mvh
Alexander

510L 170x50x60cm med 2 x 150w HQI og 4 x 24W blå T5
Brugeravatar
Nicki Henriksen
Rev haj
Rev haj
Reactions: 19
Indlæg: 4578
Tilmeldt: søn 6. jul 2008 20:23
17
Postnummer: 2760 Måløv
Saltvand siden?: 2008
Geografisk sted: Storkøbenhavn

Re: Alexanders 300L muræne Balje.

#2

Indlæg af Nicki Henriksen »

Slettet

Ser godt ud :)
Nicki

Mit nye reef http://www.saltvandsforum.dk/viewtopic. ... 27&t=85430" onclick="window.open(this.href);return false;

360L rumdeler HTTP://www.saltvandsforum.dk/viewtopic.php?t=33857" onclick="window.open(this.href);return false;
120L Mixed reef HTTP://www.saltvandsforum.dk/viewtopic.php?f=92&t=54207" onclick="window.open(this.href);return false;
Brugeravatar
Alexcpdk
Rev haj
Rev haj
Reactions: 6
Indlæg: 1074
Tilmeldt: tors 1. nov 2007 19:43
18
Postnummer: 4700 Næstved
Saltvand siden?: 2007
Geografisk sted: Sydsjælland

Re: Alexanders 300L muræne Balje.

#3

Indlæg af Alexcpdk »

tak tak, der mangler rigtig meget, men har ikke lige penge til det i øjetblikket, men det kommer :)
Mvh
Alexander

510L 170x50x60cm med 2 x 150w HQI og 4 x 24W blå T5
Brugeravatar
Nicki Henriksen
Rev haj
Rev haj
Reactions: 19
Indlæg: 4578
Tilmeldt: søn 6. jul 2008 20:23
17
Postnummer: 2760 Måløv
Saltvand siden?: 2008
Geografisk sted: Storkøbenhavn

Re: Alexanders 300L muræne Balje.

#4

Indlæg af Nicki Henriksen »

Jamen hvad har du ellers af planer med akvariet

Det virker til du har masser af svømmeplads! :)
Nicki

Mit nye reef http://www.saltvandsforum.dk/viewtopic. ... 27&t=85430" onclick="window.open(this.href);return false;

360L rumdeler HTTP://www.saltvandsforum.dk/viewtopic.php?t=33857" onclick="window.open(this.href);return false;
120L Mixed reef HTTP://www.saltvandsforum.dk/viewtopic.php?f=92&t=54207" onclick="window.open(this.href);return false;
Brugeravatar
Alexcpdk
Rev haj
Rev haj
Reactions: 6
Indlæg: 1074
Tilmeldt: tors 1. nov 2007 19:43
18
Postnummer: 4700 Næstved
Saltvand siden?: 2007
Geografisk sted: Sydsjælland

Re: Alexanders 300L muræne Balje.

#5

Indlæg af Alexcpdk »

Yep, jeg har prøvet at indrette, så der er så meget svømmeplads som muligt :)
Jamen der er ikke så mange planer endnu, mangler en 10-20Kg sten, så overløbet er helt dækket.

så regner jeg med at jeg vil køre mest blød/læderkoraller og et par enkelte SPSér.
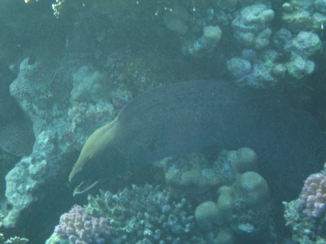
af fisk Vil jeg prøve at undgå de helt små, da de hurtigt ryger i maven på murænen ( den har allerde spist 5 små fisk )

så det ender nok med at blive et kirurg akvarie :)
Mvh
Alexander

510L 170x50x60cm med 2 x 150w HQI og 4 x 24W blå T5
Brugeravatar
DennisBS
Picasso aftrækker
Picasso aftrækker
Reactions: 0
Indlæg: 644
Tilmeldt: tirs 20. okt 2009 16:48
16
Postnummer: 3250 Gilleleje
Saltvand siden?: 2007

Re: Alexanders 300L muræne Balje.

#6

Indlæg af DennisBS »

Det er en meget facinerende fisk... Hvor lang er den..? altså murænen.. :K
Brugeravatar
Alexcpdk
Rev haj
Rev haj
Reactions: 6
Indlæg: 1074
Tilmeldt: tors 1. nov 2007 19:43
18
Postnummer: 4700 Næstved
Saltvand siden?: 2007
Geografisk sted: Sydsjælland

Re: Alexanders 300L muræne Balje.

#7

Indlæg af Alexcpdk »

DennisBS skrev:Det er en meget facinerende fisk... Hvor lang er den..? altså murænen.. :K
Hej Dennis, den er ca 50cm og godt tyk. efter oplysninger på nettet er 51cm dens maximale længde :P
Mvh
Alexander

510L 170x50x60cm med 2 x 150w HQI og 4 x 24W blå T5
Brugeravatar
DennisBS
Picasso aftrækker
Picasso aftrækker
Reactions: 0
Indlæg: 644
Tilmeldt: tirs 20. okt 2009 16:48
16
Postnummer: 3250 Gilleleje
Saltvand siden?: 2007

Re: Alexanders 300L muræne Balje.

#8

Indlæg af DennisBS »

Fedt... 50 cm er da også rigeligt..! :biggrin: men ja, den ser godt tyk ud, i forhold til "kun" at være 50 cm... Ud fra billedet og min bedømmelse så jeg menlig nogen i Egypten i samme tykkelse, måske lidt tykkere, men de var 1,5 meter.. og det ville måske lige være meget nok til et 300 liters.. :)
Brugeravatar
Alexcpdk
Rev haj
Rev haj
Reactions: 6
Indlæg: 1074
Tilmeldt: tors 1. nov 2007 19:43
18
Postnummer: 4700 Næstved
Saltvand siden?: 2007
Geografisk sted: Sydsjælland

Re: Alexanders 300L muræne Balje.

#9

Indlæg af Alexcpdk »

Vis der skulle en 1,5m muræne i 300L, skulle den lige rulles sammen et par gange :D
50cm er også maximum, men den kan fint bevæge sig rundt, og det er sjældent den bevæger sig ud fra stene, ser ud til at trives godt.
Den sviner bare vandet af HT... skifter 25L vand ugentligt for at opretholde værdierne.
Mvh
Alexander

510L 170x50x60cm med 2 x 150w HQI og 4 x 24W blå T5
zengle
Dværg kejser
Dværg kejser
Reactions: 0
Indlæg: 101
Tilmeldt: tors 28. maj 2009 19:44
16
Postnummer: 5900 Rudkøbing

Re: Alexanders 300L muræne Balje.

#10

Indlæg af zengle »

ja og i røde havet har du muræner der er 250cm og på tyggelse med et lår :P
Benjaminkn
Rev haj
Rev haj
Reactions: 0
Indlæg: 1051
Tilmeldt: ons 12. sep 2007 17:29
18
Postnummer: 5320 Agedrup
Saltvand siden?: 2006
Geografisk sted: 5320 agedrup (tæt på odense)

Re: Alexanders 300L muræne Balje.

#11

Indlæg af Benjaminkn »

Sådan en fætter du snakker om her :-)
Vedhæftede filer
IMG_2199 (648 x 486).jpg
Brugeravatar
Alexcpdk
Rev haj
Rev haj
Reactions: 6
Indlæg: 1074
Tilmeldt: tors 1. nov 2007 19:43
18
Postnummer: 4700 Næstved
Saltvand siden?: 2007
Geografisk sted: Sydsjælland

Re: Alexanders 300L muræne Balje.

#12

Indlæg af Alexcpdk »

så blev det tid til en lille opdatering.

Jeg har her i juleferien fået lavet en del.

indbygger lige pt:

2 x dannebrorejer
1 x gul kirurg
1 x impirator kejser
1 x stribet kirurg
1 x STOR rødehavs picasso aftrækker/ arabisk picasso
1 x braziliansk drage muræne

plus div. krabber, søpindsvin osv.

jeg har ca 45kg levende sten i nu plus en lille kermik søjle.

i må meget gerne komme med ros og ris.



vandet virker meget grumset på billederne, men de er også taget med et dårligt mobil kamara, skal nok få skudt nogle ordenlig billeder engang, nå jeg når lidt længere.
Vedhæftede filer
vi spiser.JPG
vi spiser.JPG (93.89 KiB) Vist 1604 gange
ved siden af seng.JPG
ved siden af seng.JPG (74.12 KiB) Vist 1604 gange
hele baljen.JPG
hele baljen.JPG (64.09 KiB) Vist 1604 gange
pindsvin.JPG
pindsvin.JPG (96.74 KiB) Vist 1604 gange
allefisk.JPG
allefisk.JPG (95.15 KiB) Vist 1604 gange
anemone.JPG
anemone.JPG (91.51 KiB) Vist 1604 gange
Senest rettet af Alexcpdk fre 5. mar 2010 00:48, rettet i alt 1 gang.
Mvh
Alexander

510L 170x50x60cm med 2 x 150w HQI og 4 x 24W blå T5
Brugeravatar
Nielsen'sbilplejeAalborg
Rev haj
Rev haj
Reactions: 0
Indlæg: 1466
Tilmeldt: fre 11. jan 2008 21:36
18
Postnummer: 9220 Aalborg Øst
Saltvand siden?: 1992
Geografisk sted: aalborg

Re: Alexanders 300L OPDATERRET 9-2-2010

#13

Indlæg af Nielsen'sbilplejeAalborg »

det ser da fin ud din balje :wink: men hvorfor har du ikk bygget din lampe kasse ned over akvariet så man ikk kan se den afstiver /vandoverfladen + det samme med bunden hvor du har flamingo pladen synlig

og har du sump under eller hva og hvordan kommer du ind til den :)
Brugeravatar
Alexcpdk
Rev haj
Rev haj
Reactions: 6
Indlæg: 1074
Tilmeldt: tors 1. nov 2007 19:43
18
Postnummer: 4700 Næstved
Saltvand siden?: 2007
Geografisk sted: Sydsjælland

Re: Alexanders 300L OPDATERRET 9-2-2010

#14

Indlæg af Alexcpdk »

Nielsen'sbilplejeAalborg skrev:det ser da fin ud din balje :wink: men hvorfor har du ikk bygget din lampe kasse ned over akvariet så man ikk kan se den afstiver /vandoverfladen + det samme med bunden hvor du har flamingo pladen synlig

og har du sump under eller hva og hvordan kommer du ind til den :)

Hejsa.

jeg køre med invendig sump. det var også en fejl, da jeg byggede akvariet, at jeg ikke lavede lampekassen rigtigt, men har planer om et nyt akvaire inde for nærmeste fremtid, som skal fylde hele bordet, og være 10cm højere ( 170x60x50cm ) 510L :) så laver jeg lampekassen rigtigt der ;)
Mvh
Alexander

510L 170x50x60cm med 2 x 150w HQI og 4 x 24W blå T5
Brugeravatar
Nielsen'sbilplejeAalborg
Rev haj
Rev haj
Reactions: 0
Indlæg: 1466
Tilmeldt: fre 11. jan 2008 21:36
18
Postnummer: 9220 Aalborg Øst
Saltvand siden?: 1992
Geografisk sted: aalborg

Re: Alexanders 300L OPDATERRET 9-2-2010

#15

Indlæg af Nielsen'sbilplejeAalborg »

hæ hæ ..ja med det kan jo ske

men fedt bord du har lavet der kan jo bygges meget på det :GO

ang sump .. nu er det første gang jeg skal prøve sump og jeg har haft 9 stk saltvandsakvarier siden jeg startede i 1992 :biggrin: men har altid kun haft over løb i ..dog et jeg byggede 3 kammere i enden sådan 1-2-3 indvenig sump

men held og lykke med det
Brugeravatar
Alexcpdk
Rev haj
Rev haj
Reactions: 6
Indlæg: 1074
Tilmeldt: tors 1. nov 2007 19:43
18
Postnummer: 4700 Næstved
Saltvand siden?: 2007
Geografisk sted: Sydsjælland

Re: Alexanders 300L OPDATERRET 9-2-2010

#16

Indlæg af Alexcpdk »

Nielsen'sbilplejeAalborg skrev:hæ hæ ..ja med det kan jo ske

men fedt bord du har lavet der kan jo bygges meget på det :GO

ang sump .. nu er det første gang jeg skal prøve sump og jeg har haft 9 stk saltvandsakvarier siden jeg startede i 1992 :biggrin: men har altid kun haft over løb i ..dog et jeg byggede 3 kammere i enden sådan 1-2-3 indvenig sump

men held og lykke med det
Jeg synes det køre udemærket med indvendig sump, og regner med at det nye også skal have det. det eneste jeg sådan umildbard er utilfreds med er at der ikke rigtig er plads til vandpåfyldning anlæg nogle steder, hvordan har du klaret du det ? jeg fylder en del liter på manuelt hver dag, det er svært for skummeren at køre ordenligt under de forhold :?
Mvh
Alexander

510L 170x50x60cm med 2 x 150w HQI og 4 x 24W blå T5
Brugeravatar
Nielsen'sbilplejeAalborg
Rev haj
Rev haj
Reactions: 0
Indlæg: 1466
Tilmeldt: fre 11. jan 2008 21:36
18
Postnummer: 9220 Aalborg Øst
Saltvand siden?: 1992
Geografisk sted: aalborg

Re: Alexanders 300L OPDATERRET 9-2-2010

#17

Indlæg af Nielsen'sbilplejeAalborg »

nu bruger du jo ikk dit skab til noget men jeg har en knap og en pumpe og et lille akvarie så kan jeg altid lige trykke på den en gang imellem ...og sådan bliver det også lavet på det nye blot at når vandstanden er lige ved at være for lav lyser der en rød diode og når den er i vinkel skal den lyse blå eller grøn :wink:
Brugeravatar
Alexcpdk
Rev haj
Rev haj
Reactions: 6
Indlæg: 1074
Tilmeldt: tors 1. nov 2007 19:43
18
Postnummer: 4700 Næstved
Saltvand siden?: 2007
Geografisk sted: Sydsjælland

Re: Alexanders 300L

#18

Indlæg af Alexcpdk »

smider lige et par fiske pic.
Vedhæftede filer
picasso.JPG
picasso.JPG (68.33 KiB) Vist 1332 gange
niger.JPG
niger.JPG (49.62 KiB) Vist 1332 gange
m3.JPG
m3.JPG (84.35 KiB) Vist 1332 gange
m2.JPG
m2.JPG (89.11 KiB) Vist 1332 gange
m1.JPG
m1.JPG (92.46 KiB) Vist 1332 gange
Mvh
Alexander

510L 170x50x60cm med 2 x 150w HQI og 4 x 24W blå T5
spdiving
Reactions: 0

Re: Alexanders 300L

#19

Indlæg af spdiving »

Folt akvarie du har fået bygget op.

Er der meget svæv i vandet ?? For vandet ser meget uklart ud på billederne.

Steen
Brugeravatar
Alexcpdk
Rev haj
Rev haj
Reactions: 6
Indlæg: 1074
Tilmeldt: tors 1. nov 2007 19:43
18
Postnummer: 4700 Næstved
Saltvand siden?: 2007
Geografisk sted: Sydsjælland

Re: Alexanders 300L

#20

Indlæg af Alexcpdk »

tak :)

nej det er bare taget med mobil, vandet er super klart ;)
Mvh
Alexander

510L 170x50x60cm med 2 x 150w HQI og 4 x 24W blå T5
Brugeravatar
Nielsen'sbilplejeAalborg
Rev haj
Rev haj
Reactions: 0
Indlæg: 1466
Tilmeldt: fre 11. jan 2008 21:36
18
Postnummer: 9220 Aalborg Øst
Saltvand siden?: 1992
Geografisk sted: aalborg

Re: Alexanders 300L

#21

Indlæg af Nielsen'sbilplejeAalborg »

godt det ikk er mig der håndfodre den slambert :wink: ellers ser det fint ud Alexander
Brugeravatar
Fiskeminister
Palet kirurg
Palet kirurg
Reactions: 0
Indlæg: 298
Tilmeldt: søn 24. jan 2010 17:16
16
Postnummer: 6000 Kolding
Saltvand siden?: 2008
Geografisk sted: Kolding

Re: Alexanders 300L

#22

Indlæg af Fiskeminister »

Laver den ik noget ballade så´n vandslange der..;) vælter koraller osv?? men ellers lækkert kar du har dig...
Igang med større balje projekt.. 760l... Ting tager tid... !

Jeg vil nu hellere ha mig et " hand job " end jeg vil gå arbejdsløs... !
Brugeravatar
Alexcpdk
Rev haj
Rev haj
Reactions: 6
Indlæg: 1074
Tilmeldt: tors 1. nov 2007 19:43
18
Postnummer: 4700 Næstved
Saltvand siden?: 2007
Geografisk sted: Sydsjælland

Re: Alexanders 300L

#23

Indlæg af Alexcpdk »

Fiskeminister skrev:Laver den ik noget ballade så´n vandslange der..;) vælter koraller osv?? men ellers lækkert kar du har dig...
jo det gør den bestemt :) men man skal bare tage højde for det, og ikke købe for små fisk osv. så er den faktisk meget nem at have med at gøre.
Mvh
Alexander

510L 170x50x60cm med 2 x 150w HQI og 4 x 24W blå T5
Brugeravatar
Fiskeminister
Palet kirurg
Palet kirurg
Reactions: 0
Indlæg: 298
Tilmeldt: søn 24. jan 2010 17:16
16
Postnummer: 6000 Kolding
Saltvand siden?: 2008
Geografisk sted: Kolding

Re: Alexanders 300L

#24

Indlæg af Fiskeminister »

Så den ska bare gå selv så er det ik noget prollem hehe ;) ej, men det er nu flotte de muræner... ska bare ik selv ha en .. har jeg mine små fisk for kært til...:D
Igang med større balje projekt.. 760l... Ting tager tid... !

Jeg vil nu hellere ha mig et " hand job " end jeg vil gå arbejdsløs... !
Brugeravatar
Nicki Henriksen
Rev haj
Rev haj
Reactions: 19
Indlæg: 4578
Tilmeldt: søn 6. jul 2008 20:23
17
Postnummer: 2760 Måløv
Saltvand siden?: 2008
Geografisk sted: Storkøbenhavn

Re: Alexanders 300L

#25

Indlæg af Nicki Henriksen »

Hvordan går det med akvariet?
du har fået et større ikke?
Nicki

Mit nye reef http://www.saltvandsforum.dk/viewtopic. ... 27&t=85430" onclick="window.open(this.href);return false;

360L rumdeler HTTP://www.saltvandsforum.dk/viewtopic.php?t=33857" onclick="window.open(this.href);return false;
120L Mixed reef HTTP://www.saltvandsforum.dk/viewtopic.php?f=92&t=54207" onclick="window.open(this.href);return false;
Brugeravatar
selveste
Palet kirurg
Palet kirurg
Reactions: 0
Indlæg: 215
Tilmeldt: tirs 25. okt 2011 20:50
14
Postnummer: 4690 Haslev
Saltvand siden?: 2011

Re: Alexanders 300L

#26

Indlæg af selveste »

Ja update på dit nye Akvarie :)
:) :) :)
Brugeravatar
Alexcpdk
Rev haj
Rev haj
Reactions: 6
Indlæg: 1074
Tilmeldt: tors 1. nov 2007 19:43
18
Postnummer: 4700 Næstved
Saltvand siden?: 2007
Geografisk sted: Sydsjælland

Re: Alexanders 300L

#27

Indlæg af Alexcpdk »

Akvariet er blevet opdateret til et 510L , så nu fylder akvariet hele bordet. murænen er afleveret til Danmarks akvarium, og erstattet med en 40cm muraena melanotis istedet :)

link til akvariet:
http://www.saltvandsforum.dk/viewtopic.php?f=94&t=48805
Mvh
Alexander

510L 170x50x60cm med 2 x 150w HQI og 4 x 24W blå T5
Besvar

Tilbage til "Akvarier 251 -> 500 Liter"