Hej forum,
Er netop hjemkommet efter en skøn uge i Sharm.
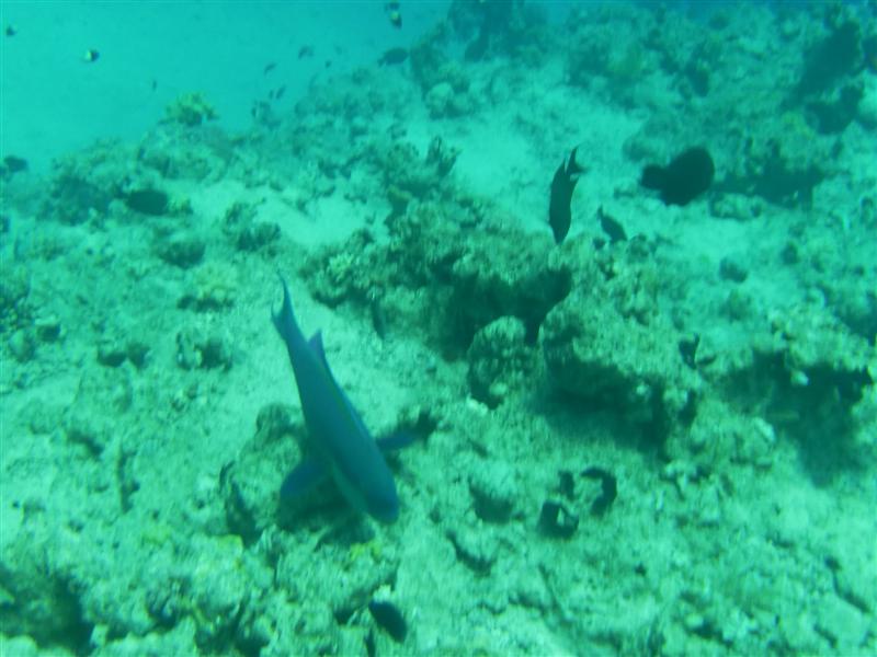
Offshore så vi både delfiner, tun en masse, en gigantisk Napoleon gylte, en ørnerokke på min. 2 meter og en skildpadde.
På hotellets husrev var der bl.a. stimer af smukke rusiske bikinifisk (under Eid festen dog også enkelte helt sorte burkinifisk)
Ørnerokken fik jeg slet ikke taget billeder af (vi svømmede ned til -32, men den var 12-15 meter længere nede), Billederne af de andre pelagiske fisk er også for ringe til at vise, men jeg vil gerne dele et par af de andre billeder jeg fik taget.
Billederne af skildpadden er heller ikke alt for gode da de også er taget på stor dybde på Jackson reef, men den skal altså med alligevel:
Lidt grumset her:
Men selv i tunneller i -23m var der vildt meget lys
På nordsiden af Gordon reef er der ikke meget der er værd at kigge efter - bortset fra smukke ben:
Regler og Retningslinjer Læs her
Et par pix fra rødehavet
- PoulD
- Rev haj

- Reactions: 0
- Indlæg: 4056
- Tilmeldt: søn 15. jan 2012 12:22
- 14
- Postnummer: 2640 Hedehusene
- Saltvand siden?: 2012
Et par pix fra rødehavet
I went to the Jatujak Market last week. Got a Frogfish for my wife . . . best trade I've ever made.
Kan man skabe sig en mindre formue på saltvand?: http://www.saltvandsforum.dk/viewtopic.php?f=93&t=52791" onclick="window.open(this.href);return false;
Kan man skabe sig en mindre formue på saltvand?: http://www.saltvandsforum.dk/viewtopic.php?f=93&t=52791" onclick="window.open(this.href);return false;
- peder
- Rev haj

- Reactions: 1
- Indlæg: 2265
- Tilmeldt: søn 13. aug 2006 19:49
- 19
- Postnummer: 8543 Hornslet
- Saltvand siden?: 1974
- Geografisk sted: 8961 Allingåbro
Re: Et par pix fra rødehavet
Vil meget gerne se billeder af "bikinifisk" 
Mvh. Peder
"stå ej til søs lad de andre stå"
http://saltvandsforum.dk/viewtopic.php?f=138&t=60977" onclick="window.open(this.href);return false; Månedens akvarie Juli 2013
"stå ej til søs lad de andre stå"
http://saltvandsforum.dk/viewtopic.php?f=138&t=60977" onclick="window.open(this.href);return false; Månedens akvarie Juli 2013
- PoulD
- Rev haj

- Reactions: 0
- Indlæg: 4056
- Tilmeldt: søn 15. jan 2012 12:22
- 14
- Postnummer: 2640 Hedehusene
- Saltvand siden?: 2012
Re: Et par pix fra rødehavet
Jeg beklager meget Peder, men konen brugte også kameraet af og til, så de billeder blev kun lagret på min organiske memory stick.peder skrev:Vil meget gerne se billeder af "bikinifisk"
Så ellers nogle af de virkelig sjældne arter. Andelen af bikinisild som virkelig kan bære en G-streng er IMO på få ppb og her var der endda flere.
Fik da øvet mig lidt i UV-rygsvømning. Buoyancy control skal sidde lige i skabet hvis man skal undgå at ramme koraller, når man svømmer på ryggen og fokuserer 100% på andre ting
I went to the Jatujak Market last week. Got a Frogfish for my wife . . . best trade I've ever made.
Kan man skabe sig en mindre formue på saltvand?: http://www.saltvandsforum.dk/viewtopic.php?f=93&t=52791" onclick="window.open(this.href);return false;
Kan man skabe sig en mindre formue på saltvand?: http://www.saltvandsforum.dk/viewtopic.php?f=93&t=52791" onclick="window.open(this.href);return false;
- nbd
- Rev haj

- Reactions: 47
- Indlæg: 2071
- Tilmeldt: man 27. aug 2007 21:47
- 18
- Postnummer: 6000 Kolding
- Saltvand siden?: 1988
- Geografisk sted: Kolding
Re: Et par pix fra rødehavet
Jeg kan godt lide skibsvraget - det ser mere autentisk ud end det jeg så til salg i Plantorama 
